Twitter helps emergency services during natural disasters

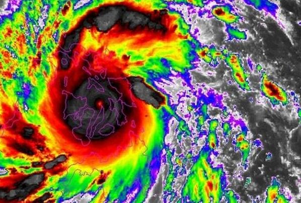
Emergency responders start benefiting from Twitter when natural disasters strike like typhoons and tornadoes. Recognizing the increasing number of victims that tweet their plight during major natural disasters, an initiative called Micromappers has enlisted digital humanitarian volunteers to sift through those tweets and help emergency services locate those in greater need.

This method has already been applied to direct UN aid workers during the rescue missions in the Philippines after Typhoon Haiyan.

Following this idea, the team is also in talks with Facebook which could be used in a similar way. However, the effectiveness of this method is still linked to the quality of smartphone and online penetration.